Voltar
Terreno Agricola ou Rústico para Venda em Serzedo e Perosinho Foto 1

Terreno Agricola ou Rústico para Venda em Serzedo e Perosinho

880.000 €

Tipo
Terreno Agricola ou Rústico
Negócio
Venda
Área Útil
11633 m²
Condição
Venda em Projecto
Certificado Energético
Isento
Área do Terreno
11633 m²

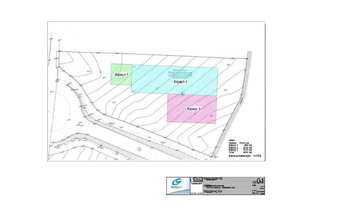
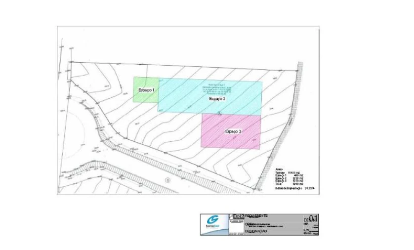
TERRENO P/ ARMAZÉM - PEROSINHO

Terreno c/ 11 633m2 inserido em PDM - Área de Armazenagem e Concentração Industrial.
Capacidade construtiva de cerca de 40%
Dispomos de estudos de implantação com pedido de informação prévia.
Marque visita - 22 732 32 * 91 93 403 010 87

Localização

Serzedo e Perosinho, Vila Nova de Gaia, Porto

Informação do anúncio

ID do anúncio 1786933
Referência Externa TVNG3
Atualizado em 19/04/2026 08:04:05
ROCHAGEST - Med. Imob., Lda AMI 8152
Referência do imóvel: TVNG3
Phone
Chamada para a rede fixa nacional
ROCHAGEST - Med. Imob., Lda AMI 8152
Referência do imóvel: TVNG3
Phone
Chamada para a rede fixa nacional
1 / 1
Terreno Agricola ou Rústico para Venda em Serzedo e Perosinho Foto 1
Clicky