Terreno para Venda em Arcos e Mogofores
64.342 €
Tipo
Terreno
Negócio
Venda
Área Bruta
652 m²
Condição
Não Aplicável
Certificado Energético
Isento
Área do Terreno
1716 m²
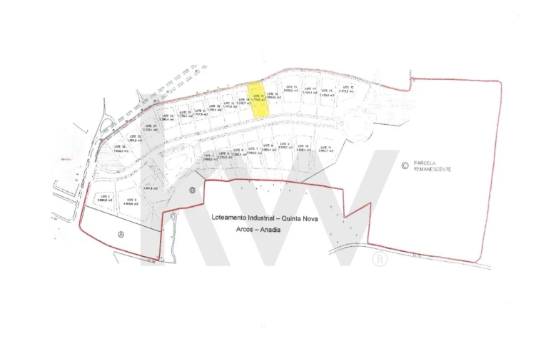
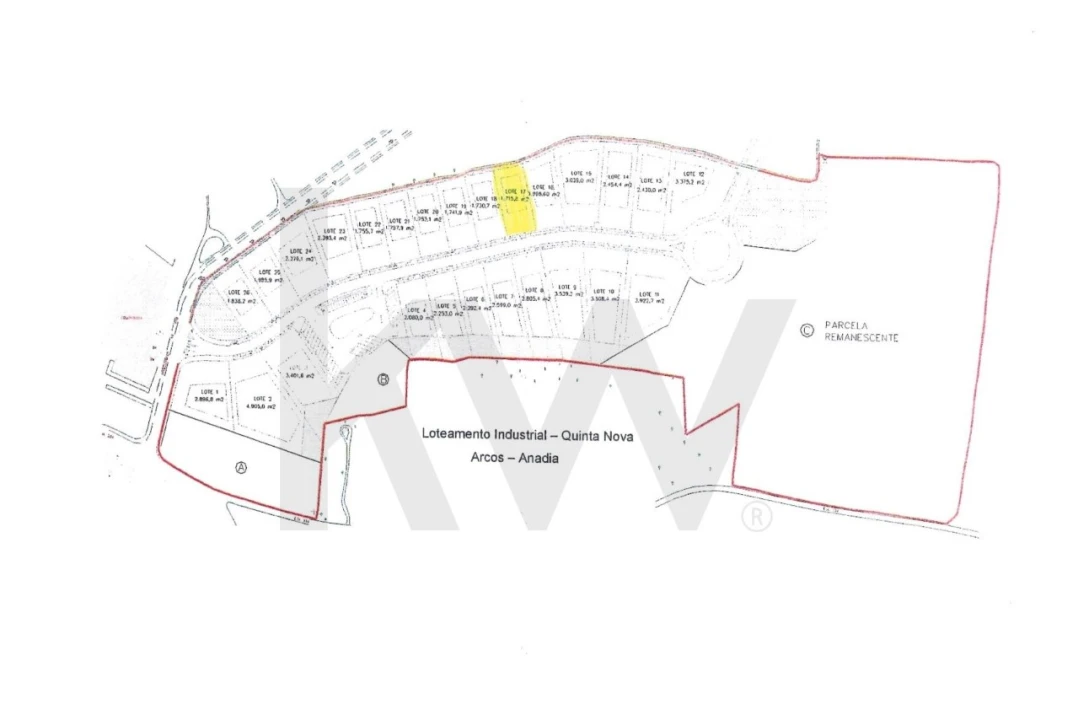
Lote 17 - Loteamento Industrial na Quinta Nova em Anadia na zona da Bairrada
O Lote 17 faz parte de um Loteamento Industrial na Quinta Nova, em Arcos (Anadia) na zona da Bairrada. O loteamento prevê a construção de armazéns com 2 pisos:
Área (m2): 1 715,80 m2
Implantação: 592,60 m2
Construção: 651,90 m2
O Loteamento Industrial Quinta Nova em Arcos, Anadia, devido à sua localização estratégica, poderá ser a sua plataforma de lançamento para o sucesso na Região Centro.
Situado em pleno coração da Bairrada, este é o local ideal para indústrias, logística, e empresas que procuram uma vantagem competitiva inigualável. O loteamento tem lotes disponíveis desde 637 m2 até 2.707 m2 de área de construção.
Porquê Escolher a Quinta Nova?
Localização estratégica
Acessibilidades Premium
Proximidade à EN1 e Eixo Rodoviário: Acesso rápido às principais vias que ligam o Norte e o Sul do país.
Acesso fácil: A poucos minutos da A1 (Mealhada) e de outros nós rodoviários cruciais, garantindo a rápida circulação de mercadorias e pessoas para Coimbra e Aveiro.
Infraestruturas de Ponta
Lotes Totalmente Infra estruturados: Disponibilidade de todas as redes essenciais para a sua operação:
o Rede de Água e Saneamento.
o Rede de Eletricidade (com capacidade para alta potência).
o Rede de Gás Natural.
o Acesso a Fibra Ótica para comunicações ultrarrápidas.
Vantagem Competitiva
Integração na Rede Empresarial da Bairrada, conhecida pela sua dinâmica e forte crescimento industrial e com empresas de referência.
Terrenos otimizados: Lotes com topografia favorável e áreas diversificadas, prontos para a construção de unidades industriais ou armazéns.
Não deixe a sua empresa à espera. O Loteamento Industrial Quinta Nova oferece a combinação perfeita de localização estratégica, infraestruturas modernas e um ambiente de negócios promissor.
Contacte-nos hoje mesmo para conhecer os planos de financiamento e as áreas disponíveis!
Área (m2): 1 715,80 m2
Implantação: 592,60 m2
Construção: 651,90 m2
O Loteamento Industrial Quinta Nova em Arcos, Anadia, devido à sua localização estratégica, poderá ser a sua plataforma de lançamento para o sucesso na Região Centro.
Situado em pleno coração da Bairrada, este é o local ideal para indústrias, logística, e empresas que procuram uma vantagem competitiva inigualável. O loteamento tem lotes disponíveis desde 637 m2 até 2.707 m2 de área de construção.
Porquê Escolher a Quinta Nova?
Localização estratégica
Acessibilidades Premium
Proximidade à EN1 e Eixo Rodoviário: Acesso rápido às principais vias que ligam o Norte e o Sul do país.
Acesso fácil: A poucos minutos da A1 (Mealhada) e de outros nós rodoviários cruciais, garantindo a rápida circulação de mercadorias e pessoas para Coimbra e Aveiro.
Infraestruturas de Ponta
Lotes Totalmente Infra estruturados: Disponibilidade de todas as redes essenciais para a sua operação:
o Rede de Água e Saneamento.
o Rede de Eletricidade (com capacidade para alta potência).
o Rede de Gás Natural.
o Acesso a Fibra Ótica para comunicações ultrarrápidas.
Vantagem Competitiva
Integração na Rede Empresarial da Bairrada, conhecida pela sua dinâmica e forte crescimento industrial e com empresas de referência.
Terrenos otimizados: Lotes com topografia favorável e áreas diversificadas, prontos para a construção de unidades industriais ou armazéns.
Não deixe a sua empresa à espera. O Loteamento Industrial Quinta Nova oferece a combinação perfeita de localização estratégica, infraestruturas modernas e um ambiente de negócios promissor.
Contacte-nos hoje mesmo para conhecer os planos de financiamento e as áreas disponíveis!
Localização
Arcos e Mogofores, Anadia, Aveiro
Informação do anúncio
ID do anúncio
1710213
Referência Externa
KWPT-023461
Atualizado em
03/05/2026 13:26:35
Terreno para Venda em Arcos e Mogofores